Arnold Sentinel’s article reveals more progress in housing development in Arnold. This story was printed in the March 28 issue.
In the last couple of years, Arnold residents saw what LB840 funds could do for the future housing development when lots were purchased south of the post office, cleaned up, and new housing went in. Two more underdeveloped lots have been identified for sale, and at a special Village Board meeting, the Arnold Economic Development Corporation (AEDC) was given permission to purchase the real estate.
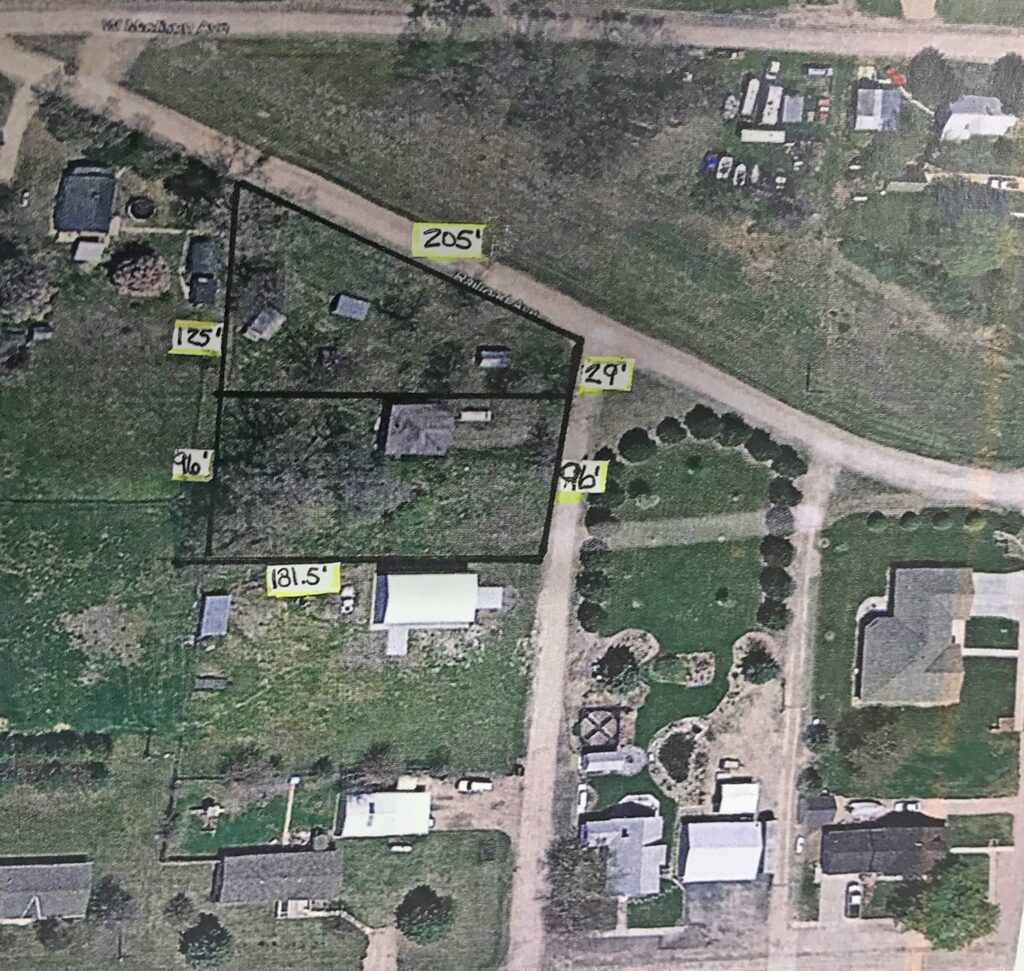
AEDC Director Cheryl Carson requested the Board’s permission to purchase the parcels at the March 18 meeting. The two lots consist of .34 and .40 acres and are located inside the city limits, north of the west daycare facility. She said the goal is to purchase and secure ownership of the lots, remove unsafe existing structures, clear overgrown vegetation, level the lots and plan for future housing development that will be beneficial to the community.
“The lots are close to the park and downtown, with easy access to all needed services. The two lots are zoned for residential, and the comprehensive plan suggests that their future use should remain residential,” Carson said in her report.
The current infrastructure is not sufficient for future development of the block, and Carson said the AEDC would like to work with the Village to develop a plan to upgrade the water main and street. Superintendent Doug DeLaune gave an estimate of $162,500.00 to upgrade the main (to be included in the 2024-2025 budget) and $153,735 to asphalt the street (to be included in the 2025-2026 budget).
With its approval, the Board voted to issue a check to the AEDC from the Economic Development Fund for $50,000.00 for the purchase and to pay other costs to prepare the lots for development, including securing a legal title, inspection fees, demolition of dilapidated structures, disposal fees, surveys, and site preparation.
The AEDC Board said that if any funds are received in the future development of the lots, the proceeds will be placed back into the AEDC land account, which is monitored both by the AEDC and the Village to be used towards future land acquisition. According to Arnold’s Economic Development Plan, sites, and facilities may be sold or leased at a price at or below current market values.
The target date to begin clean up of the property is June 2024 or sooner if possible.
Additional information provided by KCNI/KBBN News
The Local Option Municipal Economic Development Act (LB840, 1991) authorized incorporated cities and villages, if approved by local voters, to collect and appropriate local tax dollars, including sales and property taxes, for economic development purposes.
The Department of Economic Development web page lists 80 Nebraska communities implementing LB840.
The Custer County Economic Development Corporation (CCEDC) is working with the City of Broken Bow To implement an LB840 program and formulate a written economic development plan. Broken Bow City Administrator David Schmidt told KCNI/KBBN News the goal is to have it on the November 2024 General Election Ballot for Broken Bow citizens. CCEDC director Scotti Ross also would like the issue on the November Ballot because “it would be a great tool for Broken Bow development.” However, both Schmidt and Ross said the City and CCEDC need work done sooner rather than later to have the LB840 on the November Ballot.
